База нефтехранилища на земельном участке, 50 000 м²

ул Ленинградская, д. 22

30 500 000 руб.

?

$ 1 086

€ 979

610 руб./м²


50000 м²

1/1 этажей

Код объекта

124561

Предложение доступно для субагентов, авторизуйтесь

База нефтехранилища на земельном участке, 50 000 м²

Код объекта: 124561.
Тип объекта: Отдельно стоящее здание.
Площадь: 50000 м².
Этаж / Этажность: 1 / 1.
Назначения: Склад.

Описание и характеристики

Продажа участка под строительство базы нефтепродуктов.

База  нефтепродуктов.
Продам земельный участок площадью 50 000 м² в  селе Кротовка, Кинель-Черкасского района Самарской области. Этот объект станет идеальным стартом для амбициозных проектов в сфере хранения и переработки нефтепродуктов.

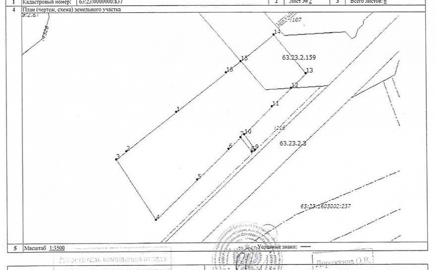
- Участок прямоугольной формы.
- Асфальтированная подъездная дорога.
- Категория земли: Земли населённых пунктов. Назначение: строительство базы нефтепродуктов.
- Участок расположен вблизи железнодорожной ветки

Продажа земельного участка расположенного в  Кинель-Черкасском  р-не, с. Кротовка

Общая площадь участка 50 000 м. кв.
Прямоугольной формы
Асфальтированные пути подъезда
Категория земель-Земли населенных пунктов
Назначение:  Для строительства базы нефтепродуктов.

Недалеко от участка проходит ветка ЖД путей.

Данный участок идеально подходит для организации предприятия по хранению и переработке нефтепродуктов.

Елена Т.
Помощь с оформлением ипотеки и покупки в лизинг.


Подписывайтесь на наш профиль, чтобы узнавать о новых локациях первыми!

Перейти в карточку объекта в CRM: 124561.

Агентство Регионального Развития

+7 927 019-54-26

или оставьте ваш номер, и я перезвоню в течение 30 минут

Отправляя заявку вы соглашаетесь на обработку персональных данных

30 500 000 руб.

?

$ 389 892

€ 331 184

610 руб./м²


50000 м²

1/1 этажей

Код объекта

124561

Предложение доступно для субагентов, авторизуйтесь

Агентство Регионального Развития

+7 927 019-54-26

или оставьте ваш номер, и я перезвоню в течение 30 минут

Отправляя заявку вы соглашаетесь на обработку персональных данных

Похожие объявления

Посмотреть все похожие объявления
1/11
Код объекта: 292834.
Тип объекта: Отдельно стоящее здание.
Площадь: 267.7 м².
Этаж / Этажность: 1 / 1.
1/25
Код объекта: 307612.
Тип объекта: Отдельно стоящее здание.
Площадь: 400 м².
Этаж / Этажность: 1 / 4.
1/24
Код объекта: 242656.
Тип объекта: Отдельно стоящее здание.
Площадь: 285.1 м².
Этаж / Этажность: 1 / 2.
1/14
Код объекта: 255476.
Тип объекта: Отдельно стоящее здание.
Площадь: 280 м².
Этаж / Этажность: 2 / 2.
1/16
Код объекта: 264890.
Тип объекта: Отдельно стоящее здание.
Площадь: 1300 м².
Этаж / Этажность: 1 / 1.
1/7
Код объекта: 296164.
Тип объекта: Производственное помещение.
Площадь: 2112 м².
Этаж / Этажность: 1 / 1.
1/11
Код объекта: 316050.
Тип объекта: Земельный участок.
Площадь: 10000 м².
1/21
Код объекта: 314115.
Тип объекта: Офисное помещение.
Площадь: 51.3 м².
Этаж / Этажность: 2 / 5.
1/19
Код объекта: 304943.
Тип объекта: Помещение свободного назначения.
Площадь: 1000 м².
Этаж / Этажность: 1 / 1.
1/21
Код объекта: 282251.
Тип объекта: Складское помещение.
Площадь: 95600 м².
Этаж / Этажность: 1 / 1.

Не хочу искать, перезвоните мне!

Оставьте номер телефона, наш специалист свяжется с вами и поможет с подбором недвижимости!